Trabajos de Construccion Mantenimientos Hermida

Profesionales de la construccion y de las reformas

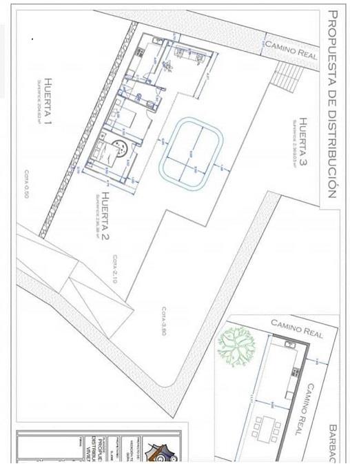
Haz clic para ampliar y usa el ratón para el efecto lupa.

Vista ampliada
Volver